25 DKA Erde, Dorf Boyantsi
Ich verkaufe zwei bearbeitbare Felder mit einer Fläche von 13.995 da und 11.263 da, Kategorie 5 im Gemeindegebiet von Boyantsi, Gemeinde Asenovgrad, gebiet Plovdiv. Beide Grundstücke befinden sich am selben Ort - „Sushitsa“, der Abstand zwischen ihnen beträgt 700 m, das Gelände ist eben und leicht zugänglich. Das erste Grundstück grenzt an eine Schotterstraße, das andere liegt 400 m von der Hauptstraße Boyantsi / Izbegli entfernt. Letzte Kultur – Mais. Die Grundstücke sind nicht verpachtet, geeignet für die Teilnahme an EU-Programmen.
1350 €/dka
24.860 dka Erde, Dorf Krislovo
Verkaufe 24.860 dka bearbeitbares Ackerland der 4. Kategorie im Kataster des Dorfes Krislowo, Gemeinde Mariza, Ortsteil „Kamschlaka“. Das Anwesen befindet sich 500 m von der Bebauungsgrenze des Dorfes und den Verkehrswegen entfernt, 500 m vom Hauptweg und 2 km von der Autobahn „Thracia“ entfernt. Das Gelände ist eben und leicht zugänglich, grenzt an einen Bewässerungskanal, letzte Kultur – Mais. Das Anwesen ist nicht verpachtet, geeignet für die Teilnahme an EU-Programmen, ebenso für den Bau von Lagerbasen, Produktions- und Logistikaktivitäten, Bau eines Komplexes von Häusern oder für andere Wohnimmobilien usw.
3000 €/dka
12 dka Erde,
Dorf Kalakovec
Zu verkaufen: 12.008 dka Ackerland, Kategorie 5, im Gemarkungsbereich des Dorfes Kalekovets, Gemeinde Maritsa, Ortsteil „Izjuljuma“. Das Grundstück liegt 200 m von der Ortsgrenze, 100 m von Verkehrsverbindungen, 500 m von der Hauptstraße und 2 km von der Autobahn „Trakija“ entfernt. Das Gelände ist eben und gut zugänglich, grenzt an einen Bewässerungskanal; die letzte Kultur war Luzerne. Das Grundstück ist nicht verpachtet und eignet sich für die Teilnahme an europäischen Programmen sowie für den Bau von Lagerhallen, für Produktions- und Logistikaktivitäten, für den Bau eines Wohnhauskomplexes oder für andere Wohnimmobilien usw.
3000 €/dka
135 dka Erde, Dorf Padarsko
Ich verkaufe drei Grundstücke - 94,631 dka, 20,942 dka und 19,452 dka - Ackerland, Kategorie 5, im Gemarkungsbereich des Dorfes Padarsko, Gemeinde Brezovo, Bezirk Plovdiv. Die ersten beiden Grundstücke sind nebeneinander und grenzen an den Stausee des Dorfes. Das Gelände ist eben und leicht zugänglich. Es besteht die Möglichkeit zur Bewässerung. Entfernung zur Leitung 20 kW – 300 m, zur 110 kW-Leitung – 350 m; sie befinden sich 2 km vom Dorf Padarsko entfernt. Das letzte Grundstück liegt 1 km von der Ortsregulierung des Dorfes entfernt. Sie sind weder verpachtet noch vermietet.
1000 €/dka
49.391 dka Erde, Dorf Manolich
Attraktives landwirtschaftliches Grundstück von 49,391 da – Felder, 5. Kategorie im Gebiet des Dorfes Manolich, Gemeinde Sungurlare, Bezirk Burgas. Das Parzelle befindet sich im Gebiet „GAJTANA“, zwischen der Bebauungsplanung des Dorfes und dem Stausee KAMCHIA. Entfernung vom Dorf: 450 m, vom Stausee: 300 m. Das Grundstück hat keinen geschlossenen Miet- oder Pachtvertrag.
930 €/dka
18.128 dka Erde, Dorf Lyaskovo
Landwirtschaftliches Grundstück im Gemeindegebiet von Lyaskovo, Gemeinde Ajtos, Oblast Burgas mit einer Fläche von 18.128 da, 10. Kategorie, grenzend an einen kleinen Stausee, Entfernung zur Ortsregulierung 350 m. Das Grundstück wird von einer 20-kW-Hochspannungsleitung durchquert, leicht mit dem Auto erreichbar. Es besteht kein geschlossener Miet- oder Pachtvertrag.
820 €/dka
26.650 dka Erde, Dorf Imrenchevo
Verkaufe vier landwirtschaftliche Immobilien mit einer Gesamtfläche von 26.650 da, 4. Kategorie, im Gebiet des Dorfes Imrenčevo, Oblast Schumen. Die Immobilien befinden sich 1400 m vom Dorf entfernt, 580 m vom Stausee und 600 m von der Hauptstraße Weliki Preslaw – Targowischte. Sie grenzen an einen Kiefernwald und haben einen leichten Hang. Sie haben einen geschlossenen Mietvertrag.
1180 €/dka
30 Dka Erde, Dorf Vălčin
Verkaufe 30 dka Ackerland in Vl. Vălčin, Gem. Sungurlare, Obl. Burgas - Kat. 7, Ebene. Das Anwesen befindet sich 620 m vom Hauptweg und 730 m vom kleinen Stausee entfernt. Mit leichtem südlichen Gefälle und Entfernung vom Wohnort – 1 km. In der Nachbarschaft gibt es eine gepflanzte junge Weinbergsanlage. Es gibt keinen geschlossenen Miet- oder Pachtvertrag.
820 €/dka
31.755 dka Erde, Dorf Lozarevo
Ich verkaufe drei angrenzende Grundstücke im Grundstücksbereich des Dorfes Lozarewo, Gemeinde Sungurlare, Oblast Burgas, mit einer Gesamtfläche von 31,755 da, 8 ma Kat. Das Gelände ist eben mit leichtem südöstlichem Gefälle. Entfernung zum Dorf – 3 km; zur Eisenbahnlinie Sofia-Warna – 53 m, in 155 m Entfernung vom Grundstück verläuft die Republikstraße II-73 (Schumen – Karnobat), in 700 m befindet sich der Bahnhof Podvis, in 550 m eine Lagerbasis, bis zur Hochspannung – 930 m. Die Grundstücke haben keinen geschlossenen Miet- oder Pachtvertrag
820 €/dka
35.072 dka Erde,
Stadt Sungurlare
Verkaufe Immobilie - 35,072 dka, 9. Etage im Gebiet der Stadt Sungurlare. Die Immobilie befindet sich 1 km vom Asphaltweg entfernt, 2,5 km von der Bebauungsgrenze der Stadt Sungurlare und 3,5 km von der Umspannstation Sungurlare. Es gibt keinen Miet- oder Pachtvertrag.
820 €/dka
7.688 dka Erde,
Stadt Sungurlare
Verkaufe Immobilie mit einer Fläche von 7.688 da, 9 Kat. im Gebiet der Stadt Sungurlare. Die Immobilie hat 115 m Front zu einer Nebenasphaltstraße. Sie befindet sich 25 m von der Hauptstraße entfernt, 1 km von der Bebauungsgrenze der Stadt Sungurlare und 1,8 km von der Umspannstation Sungurlare, 200 m von Wohngebäuden und einer Hochspannungsleitung entfernt. Das Gelände hat einen leichten Südwestabhang. Es gibt keinen Miet- oder Pachtvertrag.
820 €/dka
6.857 dka Erde, Stadt Sungurlare
Verkaufe Immobilie - 6,857 da, 9. Etage im Gebiet der Stadt Sungurlare. Die Immobilie grenzt an eine Asphaltstraße. Sie befindet sich 2 km von der Bebauungsgrenze der Stadt Sungurlare, 2,8 km von der Umspannstation Sungurlare und 150 m von der Hochspannungsleitung entfernt. Es gibt keinen Miet- oder Pachtvertrag
820 €/dka
34.184 dka Erde, Stadt Sungurlare
Verkaufe Immobilie - 34,184 daa, 9. Stock im Gebiet der Stadt Sungurlare. Die Immobilie liegt 850 m vom Asphaltweg und Hochspannungsleitung entfernt. 2,5 km von der Bebauungsgrenze der Stadt Sungurlare. Kein Miet- oder Pachtvertrag.
820 €/dka
22.170 dka Erde, Stadt Sungurlare
Verkaufe Immobilie - 22.170 dka, 9. Etage im Gebiet der Stadt Sungurlare. Die Immobilie befindet sich 940 m vom asphaltierten Weg entfernt und 3 km von der Stadt Sungurlare. Es gibt keinen Miet- oder Pachtvertrag.
820 €/dka
25.651 dka Erde, Stadt Bresowo
Ich verkaufe landwirtschaftliches Land in der Stadt Bresowo, Oblast Plowdiw. Mit einer Gesamtfläche von 25,651 da, verteilt auf zwei Grundstücke – 10,648 da – 8. Kategorie, gelegen 370 m vom Stausee und 540 m von landwirtschaftlichen Gebäuden entfernt; -15,003 da – 8. Kategorie, gelegen 1 km vom Stausee und 700 m von landwirtschaftlichen Gebäuden entfernt, in unmittelbarer Nähe verläuft ein Bewässerungskanal am Grundstück vorbei. Die Grundstücke haben keinen geschlossenen Miet- oder Pachtvertrag.
820 €/dka
25.879 dka Erde, Dorf Gorni Domlyan
Ich verkaufe zwei Parzellen Ackerland in Gorna Domlyan, Gemeinde Karlowo, Oblast Plovdiv. 6,918 da – 4. Kategorie, gelegen 200 m von der Industriezone von Wedrare und 1 km von Gorna Domlyan; und ein Grundstück mit einer Fläche von 18,961 da – 4. Kategorie, gelegen 900 m von Gorna Domlyan, 830 m von Wedrare, 500 m von der Hauptstraße, und 150 m entfernt befindet sich eine Basis für Schwarz- und Farbmetallurgie. Durch beide Grundstücke verläuft eine Hochspannungsleitung. Sie haben keinen geschlossenen Miet- oder Pachtvertrag.
820 €/dka
12.474 dka Erde, Dorf Grozden
Verkaufe 12.474 da landwirtschaftliche Fläche in Gräfendorf, Gemeinde Sungurlare, Bezirk Burgas. Das Land ist auf zwei Parzellen aufgeteilt: 9.101 da – 8. Kat., 1,5 km vom Stausee und 2,5 km vom Dorf Gräfendorf; 3.373 da – 8. Kat., Entfernung zum Stausee – 950 m, zum Dorf – 2 km. Es gibt keinen abgeschlossenen Miet- oder Pachtvertrag.
820 €/dka
25.664 dka Erde, Dorf Wojnagowo
Verkaufe landwirtschaftliches Land 25,664 da – 5 Kat. im Gebiet des Dorfes Wojnagowo, Gemeinde Karlowo, Oblast Plowdiw. Es liegt 1 km vom Hauptweg und Ribarnik entfernt, 2 km von der Bebauungsgrenze des Dorfes Wojnagowo, 3 km vom Dorf Banja, in der Nähe des Grundstücks gibt es mehrere Gebäude mit spezieller Zweckbestimmung. Das Grundstück hat keinen geschlossenen Miet- oder Pachtvertrag.
820 €/dka
42.501 dka Erde, Dorf Pomoshtnik
Verkaufe landwirtschaftliches Land in Pomoschnik, Gemeinde Galabovo, Oblast Stara Zagora. Die Gesamtfläche beträgt 42,501 da, aufgeteilt auf zwei Parzellen: 25,501 da – 9. Klasse, befindet sich 950 m von der Ortsregulierung entfernt und 17 da – 6. Klasse. 770 m von der Ortsregulierung entfernt. Die Parzellen haben keinen geschlossenen Miet- oder Pachtvertrag.
820 €/dka
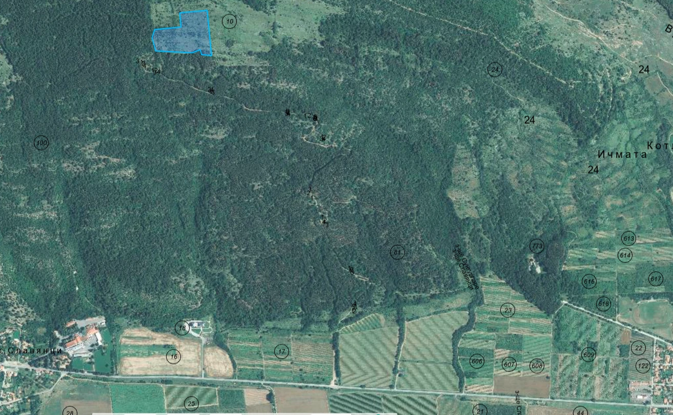
28.781 dka Erde, Dorf Slavyantsi
Verkaufe 28.781 dka landwirtschaftliche Fläche, 9. Kategorie in Slavianzi, Gemeinde Sungurlare, Bezirk Burgas. Das Anwesen befindet sich 1 km von Slavianzi und 2 km von der Umspannstation der Stadt Sungurlare entfernt. Es gibt keinen Miet- oder Pachtvertrag.
820 €/dka
18,961дка земя,
с. Горни Домлян
Продавам земеделска земя в с. Горни Домлян, общ. Карлово, обл. Пловдив. Площ на имота- 18,961 дка., 4 кат., намиращ се на 900 м. от с. Горни Домлян, на 830 м. от с. Ведраре, на 500 м. от главен път, а на 150 м. се намира база за черна и цветна металургия. През имота преминава трасе с високо напрежение. Няма сключен договор за аренда или наем.